Kynologické akce

  Anketa
Vzali byste si domů psa z útulku?

Určitě ano 
Anketa img  (58227 hl.)
Spíše ano 
Anketa img  (47274 hl.)
Možná 
Anketa img  (12783 hl.)
Spíše ne 
Anketa img  (10496 hl.)
Určitě ne 
Anketa img  (15707 hl.)
Nikdy jsem o tom nepřemýšlel 
Anketa img  (46423 hl.)

Celkem hlasovalo: 190910


Fido, Sisi a Bobinka potřebují pomoc!
Vydáno dne 09. 04. 2006 (9558 přečtení)

Obracíme se na všechny milovníky zvířat s prosbou o pomoc při záchraně a léčbě tří poraněných zvířat bez domova. Moc prosíme všechny, kteří mohou finančně pomoci na konto Nadace na pomoc zvířatům, abychom mohli zaplatit operace a léčby našich svěřenců, kteří jsou odkázáni na nás.

Nadace bohužel funguje jen ze sponzorských darů a nemá prostředky na to, aby mohla pokrýt náklady za operace a celou léčbu. Ale i přesto se snažíme těmto nebohým zvířatům pomoci a zachránit jim život. Však už jen název napovídá tomu, že se snažíme zvířatům pomoci, aniž bychom museli použít z důvodu finanční tísně tu nejjednodušší a nejlevnější cestu-utracení. Nechceme těmto zraněným zvířatům brát životy, když jejich svízelné situace můžeme řešit.

Jedná se o dvouletého kocourka Fida, tříměsíční kočičku Sisi a osmiletou fenku jezevčíka Bobinku.

FIDO

Fido byl nalezen zraněný a nepohyblivý u cesty, nejspíše poražen autem. Utrpěl frakturu pánve ( kyčelní kosti), luxaci kyčelního kloubu, zdevastování kloubního pouzdra a měkké tkáně a zhmoždění močového měchýře a také tržné rány na ocase. 4.4. 2006 se Fido podrobil dvojoperaci, při které byla provedena osteosyntéza pánve a reponování kyčelního kloubu a jeho fixace.

Fido

Z důvodu zdevastování měkké tkáně na ocase je bohužel narušeno prokrvování a ocásek se ještě bude muset amputovat. První těžkou operaci zvládl Fido velmi dobře, citlivost v obou končetinách je a již se pokouší o pohyb. Má dobré předpoklady k úspěšnému vyléčení. Dobře baští, rád se mazlí a bojuje.

Fido

SISI

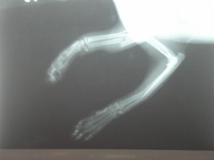
Sisi byla nalezena 29.03.2006 na sídlišti s polámanými předními packami. Utrpěla fraktury obou předních končetin, z nichž jedna byla tříštivá fraktura loketní a vřetenní kosti, došlo také ke zdevastování měkké tkáně.

SISI

Sisi RTG před

Dne 30.03.2006 se Sisi podrobila operaci, při které byla provedena osteosyntéza, kdy se tato těžká zlomenina fixovala šrouby. Druhou frakturu fixuje termoplastická dlaha. Sisi se po této těžké operaci velice dobře zotavila, hned začala baštit a cítila se dobře, takže naštěstí nebylo nutné kočičku zatěžovat infuzí.

Sisi

Sisi RTG po operaci

Bohužel, v průběhu rekonvalescence začaly komplikace. V operované pacince nebylo obnoveno krvení a začalo docházet k otoku a odumírání. Proto jsme museli přikročit k amputaci celé končetiny, která se provedla dne 04.04.2006.

Sisi

Sisi se s narkózou opět velmi dobře vyrovnala a hned druhý den po operaci začala velmi dobře baštit, také měla náladu se mazlit a chová se, jako by si ze svého „nového hendikepu“ nic nedělala. Sisinka je neuvěřitelně statečná a silná a v žádném případě se nepoddává svému zranění. Má velikou chuť do života a kdybychom pomýšleli na utracení, jistě bychom si to dlouho vyčítali, že jsme takovéto kočičce, plné energie a chutí žít, tuto možnost vzali.

SISI

BOBINKA

Bobinka k nám přišla 03.04. ještě se svým páníčkem, který ji  přišel utratit. Hlavním důvodem pro utracení byly zdravotní i finanční problémy majitele a tím silnější byl důvod, že Bobinka měla silný zánět dělohy, do té doby neléčený, již delší dobu ani nežrala a zdravotní problémy byly patrné.

Bobinka

Majitel přišel, až byl zánět hodně rozšířen a fenečce šlo o život. Při konzultaci s panem doktorem se dohodli na tom, že se fenky vzdá a my ji dáme šanci na život, budeme operovat a po doléčení fenečce najdeme nový domov. Tak se Bobinka podruhé narodila a zároveň přišla o páníčka. Myslíme, že jsme udělali správně, protože Bobinka chce žít a jistě najde zodpovědnějšího páníčka, který ji nenechá na holičkách a bude mít před sebou ještě polovinu plnohodnotného života. Ještě týž den byla pyometra operována a přitom se vyoperovala celá děloha. Bobinka zvládla operaci dobře a nyní je v léčení. Momentálně její léčba spočívá v podávání infuzí, jelikož Bobinka nežere a také podávání podpůrných léků a antibiotik.

Bobinka

Konto Nadace-bankovní účet: 94-4366360287/0100

Pokud můžete jakkoli pomoci, upřímně Vás žádáme o jakoukoli peněžitou částku. Budeme moc vděčni za podporu a tudíž i spolupráci na záchraně těchto tří zvířátek. Samozřejmě Vás budeme o průběhu léčení informovat a aktualizovat nové zprávy

Nadace na pomoc zvířatům
http://www.utulek-ostrava.estranky.cz



Související články:
Příběhy z útulku - Marie Stuartovna (12.01.2006)
Příběhy z útulku - Smutný osud (26.01.2006)
Příběhy z útulku - Rika (13.02.2006)
Milý Ježíšku (14.12.2006)
Juan a psí hvězda Sirius (20.12.2006)
Červeňáček (10.10.2007)
Příběh Kubíka a Matýska (02.12.2007)

( Komentáře: 15 | Přidat komentář | Zaslat upozornění na článek | Tisk článku )

Přidej na:   Del.icio.us | Digg.com | Facebook.com | Google.com | Linkedin.com | Linkuj! | VYBRALI.sme.sk!
Zásady ochrany osobních údajů
Copyright © 2001 - 2013 [ Cz-pes.cz ]. Všechna práva vyhrazena.
ISSN 1801-920X, E-mail: pes@cz-pes.cz, Web: http://www.cz-pes.cz
RSS kanál,    Mapa stránek
Přidejte si stránky k oblíbeným!
Vyhledávání